

KARTA EVROPE, SLOVENIJA LEŽI ZNOTRAJ KROGA
KARTA LJUBLJANE, ŠENTVID, KJER JE TUDI OBSERVATORIJ, JE OZNAČEN S PRAVOKOTNIKOM.

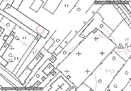
KARTA ŠENTVIDA, ŠOLA IN OBSERVATORIJ LEŽITA ZNOTRAJ KROGA,
Prušnikova 98, Ljubljana.
![]() |

Do sedaj je to stran obiskalo
ljudi.
Šentvid pri Ljubljani (Prušnikova 98, lega observatorija Astronomskega krožka Gimnazije Šentvid-Ljubljana) Sferične koordinate / Gauss-Krogerjeve koordinate j, l (0 ' ") / Y[m](za-vz), X[m](ekvator-pol) (Gauss-Kruegerjev koordinatni sistem, njegovo uradno ime v Sloveniji je D-48) x= 5106123 m Geografska širina, D-48: 46O 5' 54" (latitude) y= 5459091 m Geografska dolžina, D-48: 14O 28' 15" (longitude) Nadmorska višina 315m+20m(terasa)=335m (altitude). World Geodetic System 1984, WGS-84 coordinates system (GPS): latitude (WGS-84): 46 deg 5' 53" ( 46.0980556 ) longitude (WGS-84): 14 deg 27' 58" ( 14.4661111 ) Earth-Ellipsoid WGS 84 a = 6.378.137,000 m b = 6.356.752,315 m f = 1:298,257223563Oglej si tekst o Gauss-Krogerjevi projekciji.
Prikaži večji zemljevid
Poglej večjo karto
Prikaži na google zemljevidu
Podatke pripravil in določil: Zorko Vičar
Povzeto po http://212.103.140.243/nvatlas/index2.asp ali http://kremen.arso.gov.si/NVatlas
ali NV atlas (INTERNO)
GERK - RABA:
Pregledovalnik podatkov (HTML) omogoča prostorski pregled podatkov RABE kmetijskih zemljišč in katastrskih parcel ter nekaterih podlag (DOF, občine, katstrske občine). Možno povpraševanje po KMG_MID.
Nazaj na domačo stran.
http://www2.arnes.si/guest/gljsentvid10/index.html
Kako google mapao postavimo na domačo stran?
Poiščemo kraj na google zemljevidu.
Izberemo (kliknemo) na Povezavo (Link), desno nad karto.
Izberi (klik) - prilagodite in si oglejte vdelan zemljevid.
In nato po prilagoditvi -
kopirajte in prilepite kodo HTML na svoje spletno mesto.